
| Species id: | 155720 |
| Image id: | 18 |
| Image number: | 23791 |
| Photographer: | BT Wursten |
| Code 1 if image of a herbarium specimen: | 0 |
| Herbarium in which image taken: | |
| Code 1 if image not to be displayed: | 0 |
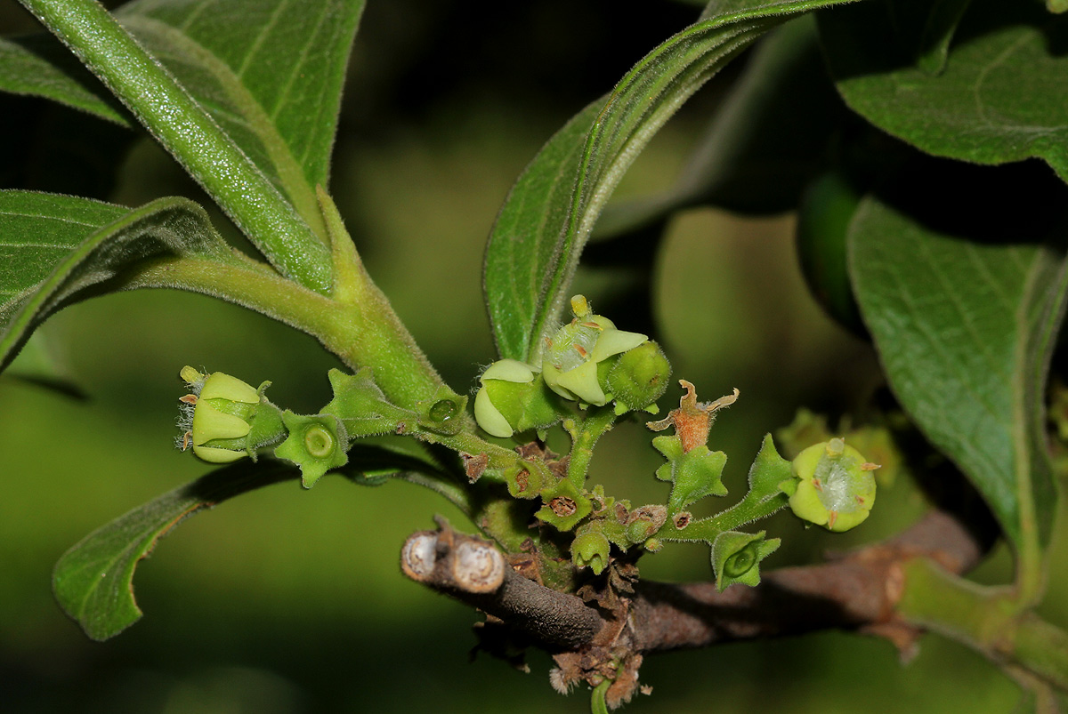
| Image notes: | Treelet with greenish flowers and ball-like green fruits. Fuzzy leaves. |
| Record id: | 72194 |
| Date: | 9 Dec 2015 |
| Recorder(s): | BT Wursten J Guyton |
| Collector(s): | J Guyton JAG_15_605B |
| Determiner(s): | BT Wursten |
| Confirmer(s): | |
| Herbarium: | |
| Habitat: | Mixed deciduous woodland/riverine woodland |
| Location: | Road 11 Near Chitengo camp, Gorongosa National Park |
| Location code(s): | 14 |
| Outing code: | 41 |
| Planted code: | Not planted |
| Country: | Mozambique |
| Quarter Degree Square: | 1834C4 |
| Grid reference: | |
| Altitude (metres): | 0 |
| Notes: | Treelet with greenish flowers and ball-like green fruits. Fuzzy leaves. |
| Latitude, Longitude: | -18.995180, 34.374260 |
| Location accuracy code: | 7 |