Details of record no: 101697

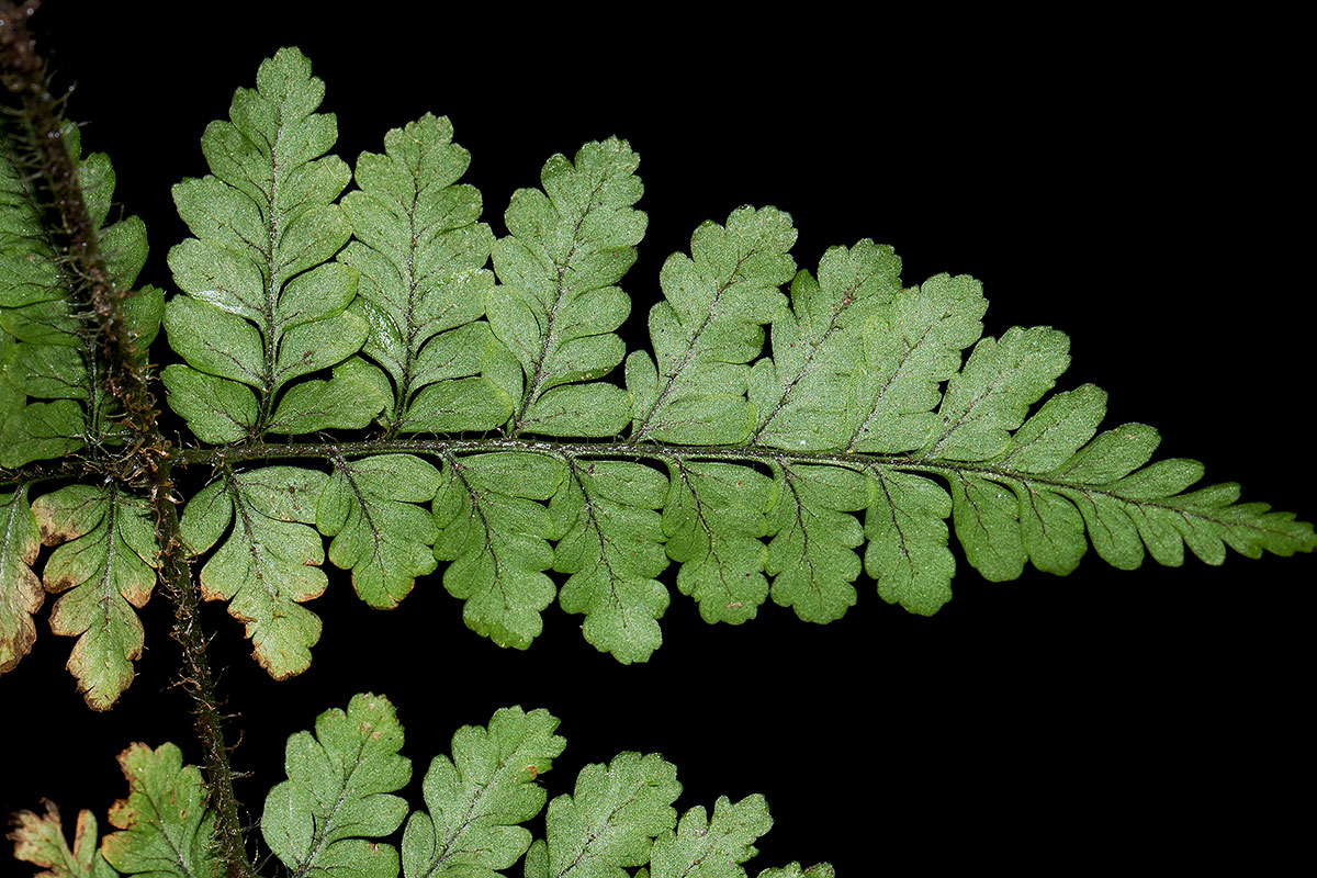
Nothoperanema squamiseta (Hook.) Ching

Three blocks of information are displayed on this page, namely: (a) details of the record; (b) the record point plotted using Google Maps and (c) any images attached to the record. Please scroll down to see the various items.

Record details:

Date: 27 Feb 2019
Recorder(s):BT Wursten
P Ballings
Collector(s):BT Wursten
P Ballings
PB2962
Determiner(s):P Ballings
Confirmer(s):
Herbarium:BR
Habitat: In montane evergreen forest
Location: Zovo Chipolo Forest, Nyika National Park
Location code(s): 180
Outing code: 57
Planted code: Not planted
Country: Malawi
Quarter Degree Square: 1033D1
Grid reference:
Altitude (metres): 2221
Notes: BR specimen
Latitude, Longitude: -10.574210, 33.709590
Location Accuracy Code: 7

Map of species record

Images:

Image: 1

Nothoperanema squamiseta

Species id:101810
Image id:1
Image number:35188
Photographer: P Ballings
Code 1 if image of a herbarium specimen:0
Herbarium in which image taken:
Code 1 if image not to be displayed:0
Image notes:

Image: 2

Nothoperanema squamiseta

Species id:101810
Image id:2
Image number:35189
Photographer: P Ballings
Code 1 if image of a herbarium specimen:0
Herbarium in which image taken:
Code 1 if image not to be displayed:0
Image notes:

Image: 3

Nothoperanema squamiseta

Species id:101810
Image id:3
Image number:35190
Photographer: P Ballings
Code 1 if image of a herbarium specimen:0
Herbarium in which image taken:
Code 1 if image not to be displayed:0
Image notes:

Image: 4

Nothoperanema squamiseta

Species id:101810
Image id:4
Image number:35191
Photographer: P Ballings
Code 1 if image of a herbarium specimen:0
Herbarium in which image taken:
Code 1 if image not to be displayed:0
Image notes:

Image: 5

Nothoperanema squamiseta

Species id:101810
Image id:5
Image number:35192
Photographer: P Ballings
Code 1 if image of a herbarium specimen:0
Herbarium in which image taken:
Code 1 if image not to be displayed:0
Image notes:

Image: 6

Nothoperanema squamiseta

Species id:101810
Image id:6
Image number:35193
Photographer: P Ballings
Code 1 if image of a herbarium specimen:0
Herbarium in which image taken:
Code 1 if image not to be displayed:0
Image notes:

Image: 7

Nothoperanema squamiseta

Species id:101810
Image id:7
Image number:35194
Photographer: P Ballings
Code 1 if image of a herbarium specimen:0
Herbarium in which image taken:
Code 1 if image not to be displayed:0
Image notes:

Image: 8

Nothoperanema squamiseta

Species id:101810
Image id:8
Image number:35195
Photographer: P Ballings
Code 1 if image of a herbarium specimen:0
Herbarium in which image taken:
Code 1 if image not to be displayed:0
Image notes:

Image: 9

Nothoperanema squamiseta

Species id:101810
Image id:9
Image number:35196
Photographer: P Ballings
Code 1 if image of a herbarium specimen:0
Herbarium in which image taken:
Code 1 if image not to be displayed:0
Image notes:

Image: 10

Nothoperanema squamiseta

Species id:101810
Image id:10
Image number:35197
Photographer: P Ballings
Code 1 if image of a herbarium specimen:0
Herbarium in which image taken:
Code 1 if image not to be displayed:0
Image notes:

Image: 11

Nothoperanema squamiseta

Species id:101810
Image id:11
Image number:35198
Photographer: P Ballings
Code 1 if image of a herbarium specimen:0
Herbarium in which image taken:
Code 1 if image not to be displayed:0
Image notes:

Copyright: The Rwanda flora team, 2024-26

The Rwanda flora team (2026). Flora of Rwanda: Individual record no: 101697: Nothoperanema squamiseta.
https://www.rwandaflora.com/speciesdata/species-record.php?record_id=101697, retrieved 31 January 2026

Site software last modified: 18 October 2025 12:29pm (GMT +2)
Terms of use