Details of record no: 128233

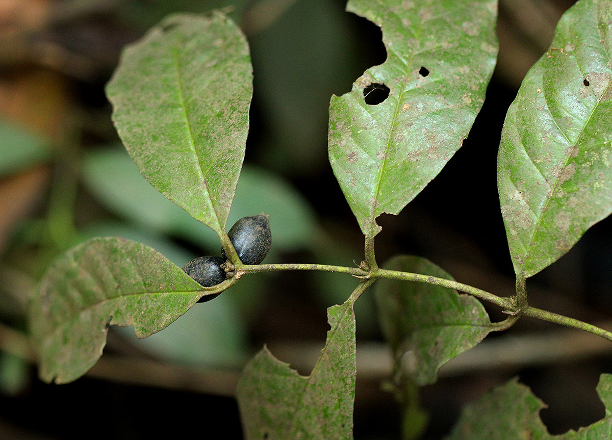
Cremaspora triflora (Thonn.) K. Schum.
subsp. triflora

Three blocks of information are displayed on this page, namely: (a) details of the record; (b) the record point plotted using Google Maps and (c) any images attached to the record. Please scroll down to see the various items.

Record details:

Date: 28 May 2010
Recorder(s): Boyekoli Ebale Botany
Collector(s): Boyekoli Ebale Botany
BEB860
Determiner(s):BT Wursten
Confirmer(s):
Herbarium:BR
Habitat: Seasonally waterlogged forest
Location: Transect, just downstream from Yamfira, Lomami River
Location code(s):
Outing code: 68
Planted code: Not planted
Country: Democratic Republic of Congo
Quarter Degree Square:
Grid reference:
Altitude (metres): 394
Notes: BR specimen
Latitude, Longitude: 0.702640, 24.200610
Location Accuracy Code: 7

Map of species record

Images:

Image: 12

Cremaspora triflora subsp. triflora

Species id:155650
Image id:12
Image number:42358
Photographer: BT Wursten
Code 1 if image of a herbarium specimen:0
Herbarium in which image taken:
Code 1 if image not to be displayed:0
Image notes:

Image: 13

Cremaspora triflora subsp. triflora

Species id:155650
Image id:13
Image number:42359
Photographer: BT Wursten
Code 1 if image of a herbarium specimen:0
Herbarium in which image taken:
Code 1 if image not to be displayed:0
Image notes:

Image: 14

Cremaspora triflora subsp. triflora

Species id:155650
Image id:14
Image number:42360
Photographer: BT Wursten
Code 1 if image of a herbarium specimen:0
Herbarium in which image taken:
Code 1 if image not to be displayed:0
Image notes:

Image: 15

Cremaspora triflora subsp. triflora

Species id:155650
Image id:15
Image number:42361
Photographer: BT Wursten
Code 1 if image of a herbarium specimen:0
Herbarium in which image taken:
Code 1 if image not to be displayed:0
Image notes:

Image: 16

Cremaspora triflora subsp. triflora

Species id:155650
Image id:16
Image number:42362
Photographer: BT Wursten
Code 1 if image of a herbarium specimen:0
Herbarium in which image taken:
Code 1 if image not to be displayed:0
Image notes:

Copyright: The Rwanda flora team, 2024-25

The Rwanda flora team (2025). Flora of Rwanda: Individual record no: 128233: Cremaspora triflora.
https://www.rwandaflora.com/speciesdata/species-record.php?record_id=128233, retrieved 13 December 2025

Site software last modified: 18 October 2025 12:29pm (GMT +2)
Terms of use