Details of record no: 97742

Agarista salicifolia (Lam.) G.Don

Three blocks of information are displayed on this page, namely: (a) details of the record; (b) the record point plotted using Google Maps and (c) any images attached to the record. Please scroll down to see the various items.

Record details:

Date: 9 Aug 2018
Recorder(s):BT Wursten
A Iqbal
M Siska
Collector(s):BT Wursten
A Iqbal
AI064
Determiner(s):BT Wursten
Confirmer(s):
Herbarium:BR
Habitat: In scrubland by small lake.
Location: Lake Kaulime, Nyika National Park
Location code(s): 180
Outing code: 55
Planted code: Not planted
Country: Malawi
Quarter Degree Square: 1033D2
Grid reference:
Altitude (metres): 2348
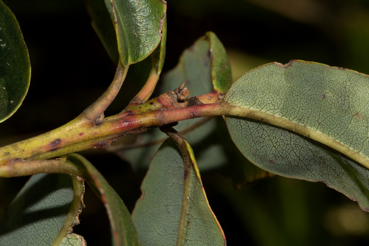
Notes: Very corky bark, leaves a bit like Rapanaea; fruit small woody, split into 4 valves.
Latitude, Longitude: -10.577830, 33.760580
Location Accuracy Code: 6

Map of species record

Images:

Image: 1

Agarista salicifolia

Species id:174620
Image id:1
Image number:31563
Photographer: BT Wursten
Code 1 if image of a herbarium specimen:0
Herbarium in which image taken:
Code 1 if image not to be displayed:0
Image notes:

Image: 2

Agarista salicifolia

Species id:174620
Image id:2
Image number:31564
Photographer: BT Wursten
Code 1 if image of a herbarium specimen:0
Herbarium in which image taken:
Code 1 if image not to be displayed:0
Image notes:

Image: 3

Agarista salicifolia

Species id:174620
Image id:3
Image number:31565
Photographer: BT Wursten
Code 1 if image of a herbarium specimen:0
Herbarium in which image taken:
Code 1 if image not to be displayed:0
Image notes:

Image: 4

Agarista salicifolia

Species id:174620
Image id:4
Image number:31566
Photographer: BT Wursten
Code 1 if image of a herbarium specimen:0
Herbarium in which image taken:
Code 1 if image not to be displayed:0
Image notes:

Copyright: The Rwanda flora team, 2024-26

The Rwanda flora team (2026). Flora of Rwanda: Individual record no: 97742: Agarista salicifolia.
https://www.rwandaflora.com/speciesdata/species-record.php?record_id=97742, retrieved 30 January 2026

Site software last modified: 18 October 2025 12:29pm (GMT +2)
Terms of use